fénykép nyílt forrásokból
A hihetetlenül pusztító Michael hurrikán, amely eltalálta az USA délkeleti partján elérte Florida államát. Az óceán közelében – legalább száz méter szélsebességet kell megadni második. 375 ezer helyi lakos sürgősen evakuálták, miután az elnök vészhelyzetet hirdetett meg. Annak ellenére, hogy az áldozatok számát még mindig egységben mérik, A “Michael” -et erős hurrikánnak hívják, amely szembesült modern Florida.
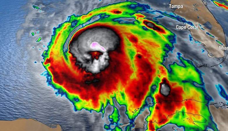
A tragédia szokatlannak és kissé misztikusnak bizonyult egy forduló, amikor az amerikaiak hirtelen a katasztrófa híreit figyelték észrevette egy furcsa “jelet” a levegőben. Műholdas képben a trópusi ciklon gyanúsan rosszindulatú sziluettet alakított ki úgy néz ki, mint egy szürke koponya, vérző szemhüvelyekkel. Természetesen sok lelkes néző úgy gondolta, hogy ez rossz ómen, és a megrázkódhatatlan “Michael” minden bizonnyal a hordozására szolgál sok emberi élet.
A titokzatos “koponya” hírét olyan népszerűvé tették A világháló, amelyre is reagálnia kellett rá Amerikai klimatológusok. Szerintük rendesről beszélünk pareidolikus illúzió, amely a hurrikán képén jelent meg csak egy-két másodpercig. Érdekes, hogy 2016-ban hasonló sziluett Az emberi koponyát felfedezték a műholdas fényképezés során trópusi ciklon “Matthew” a Karib-térség felett.
Gondolod, hogy ez véletlen egybeesés, vagy sem? És lehetséges-e a miénkben? az élet, mint a balesetek? ..
élet
